Mines de charbon de Semsales et de St-Martin | Michel Demierre
Par Jacques et Michel Demierre
Des mines de charbon ont été exploitées dans la molasse le long de la rivière Mionnaz, en amont de Palézieux, dans le secteur St-Martin, Busigny-sur-Oron, Le Jordil, Progens et La Verrerie (voir la carte ci-dessous). L’exploitation de ces mines a commencé en 1771 pour se terminer en 1947.
Carte des mines du secteur La Mionnaz-Palézieux, MINARIA HELVETICA, 1988
Dans ces mines, de la lignite a été exploitée. Ce sont des veines d’épaisseur décimétrique, contenant 70% de carbone et une forte teneur en soufre. Ce charbon dégage une odeur nauséabonde en brûlant.
La plupart de ces cavités sont aujourd’hui inaccessibles et les traces en surface ont le plus souvent totalement disparu, sauf quelques terrils.
Terril à l’entrée d’une descenderie de la mine disparue de Prax-Montésy
Mines de Semsales
La société « des Mines et Verrerie de Semsales » a été crée en 1776 par des immingrés de Franche-Comté. Au 19ème siècle, près de 400 ouvriers ont travaillé aux mines et à la verrerie. En 1860, elle fabriquait un million de bouteilles, avec l’énergie provenant des tourbières du Crêt et des mines. En 1918, un expertise faite par le Prof. Schmid de Bâle permet les plus grands espoirs;on espère extraire environ 200 tonnes de combustible par jour. La production a été en 1919 de 8’023 tonnes et en 1920 de 8’015 tonnes.
La verrie de Semsales vers 1900.
En 1911, la verrerie est délocalisée à St-Prex et elle cessera toute activité en 1914. En 1918 la Société des Mines et Charbons de Semsales a été crée. Elle arrêta l’exploitation en 1921 pour raisons économiques, à cause de l’arrivée du charbon étranger.
Ces mines se situent dans la coline au-dessus de La Verrerie et de Progens, Elles ne se trouvent pas dans le village de Semsales.
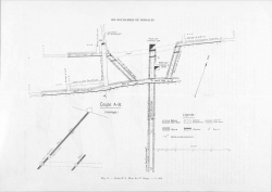
Topographie partielle des houillères de Semsales. Bulletin technique de la Suisse romande, 1918
Equipe de mineurs à la Verrerie. Collection particulière de Jean Marie Barras.
Seule l’entrée du travers-banc de Progens est encore visible. Cette mine et décrite ci-dessous.
Travers-banc de Progens
Au bas de la coline de Progens, un travers-banc d’un développement de 540 mètres traverse de part en part la colline. Cette mine est aujourd’hui encore pénétrable via un puits. Ce puits donne accès à une galerie ébouleuse. A l’aval, il y a une porte donnant sur l’entrée, aujourd’hui obstruée. A l’amont, la galerie se termine sur un effondrement du plafond obstruant définitivement la suite. Attention, la galerie dans de la molasse ou de l’argile, est très ébouleuse et est réservée aux spécialistes.
Il semblerait que ce puits soit l’unique accès existant encore aujourd’hui aux mines de Semsales.
Tout proche du puits, l’eau d’exhaure s’écoule dans deux anciens tuyaux bitumés en fonte jusqu’à une citerne.
Sur la photographie aérienne de 1933 (swisstopo), 12 ans après la fin de l’exploitation, la voie de chemin de fer construite pour ces mines et les quais de chargement sont encore bien visibles. C’est la preuve de l’intense activité minière de la région.
Mines de St-Martin
Des mines ont aussi été exploitées sur la commune de St-Martin, en particulier sous la coline du Jordil.
Durant la première guerre mondiale, l’industrie suisse manque de charbon. L’exploitation est systèmatique à St-Martin et un puits de 100 mètres de profondeur y est creusé. L’exploitation s’arrêta en 1920 et St-Martin redevient un village agricole.
L’exploitation industrielle a débuté en 1940, lors de la deuxième Guerre mondiale. En 1942 la Société des Mines du Bassin de la Mionnaz est créée. Le charbon était extrait pour la chimie bâloise (Ciba), en pénurie de matière première. Plus de 300 ouvriers exploitaient les mines, avec une production d’environ 10 tonnes de charbon par jour. La mine atteint -189 mètres. Le charbon est amené à la gare de Palézieux.
En 1947, à la fin de la guerre, les mines ont été fermées avec le retour du charbon étranger. Les installations sont démontées et les puits sont définitivement obturés.
Article sur les mines de St-Martin, journal La Liberté, juillet 1974.
Photographies aux mines de charbon du Jordil. Article sur le site de la commune de St-Martin.
Mines d’Essert d’Avaux
Sous une lourde porte métallique, il n’y a que l’écoulement d’eau provenant de la mine. Il n’y a plus du tout d’accès aux galeries.
Mine du Jordil
La forte odeur caractéristique des mines de charbon a permis de retrouver une entrée de la mine du Jordil dans un bosquet. En crue, de l’eau en sort, par dessous une dalle de béton obstruant cette entrée. la mine du Jordil est une des grandes mines du secteur. Cette mine est aujoud’hui noyée et définitivement bouchée.
La mine comporte un puits (descenderie) creusé à 45 degrés, puis trois galeries horizontales à 60, 120 et 180 mètres de profondeur, ayant un développement allant de 200 à 800 mètres. Plusieurs puits assurent l’aération de la mine et l’évacuation des gravats. Les galeries sont régulièrement noyées et un système de pompage est en place. ce pompage fera tarrir certaines sources.
Les terrils sont bien visible sur la photographie aérienne de 1940 (swisstopo).
Il y a au sentier des arbres de St-Martin des panneaux concernant les mines de charbon du Jordil, un des rares souvenirs de l’histoire minière de la commune.
Mine de la Cergne
Sur le site de la mine de la Cergne, la mine n’est plus du tout accessible. Cependant, l’entrée et deux effondrements sont bien visibles depuis la surface.
Bibliographie
MINARIA HELVETICA, société suisse d’histoire des mines, 1988
André Claude, «Un artisanat minier: charbon, verre, chaux et ciments au Pays de Vaud», Lausanne 1974
Les mines de St-Martin, La Liberté, 27-28 juillet 1974.
Les Houillères de Semsales, bulletin technique de la Suisse romande, 1918
Article sur le journal No. 6 de la commune de Saint-Martin
Forum du Rail en Suisse, des chemins de fer et du monde du train
Le sentier des arbres
Mise en garde : la visite de ces cavités nécessitent une formation et un équipement adéquat (risques d’éboulements dans la molasse fragile, de gaz toxiques ou explosifs, …). N’hésitez pas à me contacter !


Submit a Comment